..
.
..

7 Eigentumswohnungen
Karlsruhe-Südweststadt
Vincentiusstrasse 5a
Willkommen Zuhause – Ihr neues Lebensgefühl in Karlsruhe-Stupferich
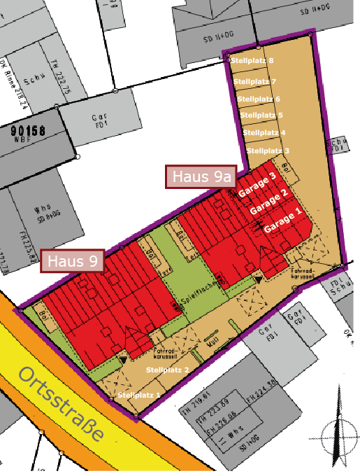
Inmitten der charmanten Ortsidylle von Stupferich entstehen zwei stilvolle Mehrfamilienhäuser mit insgesamt 11 einzigartigen Eigentumswohnungen – darunter 4 großzügige Maisonette-Wohnungen, die ein ganz besonderes Wohngefühl versprechen.
3 bis 4 helle Zimmer, Wohnflächen von 75 bis 87 m² und großzügige Balkone oder sonnige Terrassen schaffen Raum für Lebensfreude, Geborgenheit und echte Wohlfühlmomente – drinnen wie draußen.
Fertigstellung im 2. Quartal 2026 – der perfekte Zeitpunkt, um sich den Traum vom neuen Zuhause zu erfüllen.

.
Das Wichtigste im Überblick

Wohnflächen
75 - 87 m²

Zimmer
3 - 4

Fertigstellung
2. Quartal 2026

Provisionsfrei

..

- 11 Wohnungen mit unterschiedlichen Größen, davon 4 Maisonette-Wohnungen
- Jede Wohnung erhält durch einen Balkon oder Terrasse einen zusätzlichen Ausgang in den Außenbereich
- Alle DG-Maisonette-Wohnungen erhalten auf jeder Wohnebene einen Balkon
- 3 Garagen und 8 Stellplätze, Fahrradabstellplätze
- Variable Grundrisseinteilung / Änderungen möglich
- Moderne Luft-Wasser-Wärmepumpe
- Jede Wohnung erhält einen eigenen, großzügigen, abgetrennten Kellerraum. Es stehen weitere Kellerräume zum Kauf zur Verfügung.
- KfW55-Bauweise.
- Alle Wohnungen im EG werden barrierefrei erstellt, ebenso der Zugang zum Anwesen.
- Unverbindliche Finanzierungsberatung. Sonderkonditionen sind möglich.
- Energieausweis wird erstellt.
.
Wohnungsübersicht
Haus 9
Wohnung 1
STATUS: VERFÜGBAR
- EG links
- Inkl. Terrasse und Grundstücksanteil (12 m²)
- 3 Zimmer
- 77,8 m² Wohnfläche
- Kaufpreis € 404.586,00

..
Haus 9
Wohnung 2
STATUS: VERKAUFT
- EG rechts
- Inkl. Terrasse + Grundstücksanteil (16,6 m²)
- 3 Zimmer
- 78,9 m² Wohnfläche

..
Haus 9
Wohnung 3
STATUS: VERFÜGBAR
- 1. OG links
- Inkl. Balkon
- 3 Zimmer
- 77,5 m² Wohnfläche
- Kaufpreis: € 413.595,00

..
Haus 9
Wohnung 4
STATUS: VERKAUFT
- 1. OG rechts
- Inkl. Balkon
- 3 Zimmer
- 77,8 m² Wohnfläche

..
Haus 9
Wohnung 5
STATUS: VERFÜGBAR
- DG links
- Maisonette
- Inkl. 2 Balkone
- 3-4 Zimmer
- 86,3 m² Wohnfläche
- Kaufpreis: € 472.731,00

..
Haus 9
Wohnung 6
STATUS: VERFÜGBAR
- DG rechts
- Maisonette
- Inkl. 2 Balkone
- 3-4 Zimmer
- 84 m² Wohnfläche
- Kaufpreis: € 480.900,00

..
Haus 9a
Wohnung 7
STATUS: VERFÜGBAR
- EG links
- Inkl. Terrasse und Grundstücksanteil (16,3 m²)
- 3 Zimmer
- 78,9 m² Wohnfläche
- Kaufpreis € 425.145,00

..
Haus 9a
Wohnung 8
STATUS: VERFÜGBAR
- 1. OG links
- Inkl. Balkon
- 3 Zimmer
- 74,8 m² Wohnfläche
- Kaufpreis € 411.285,00

..
Haus 9a
Wohnung 9
STATUS: VERFÜGBAR
- 1. OG rechts
- Inkl. Balkon
- 3 Zimmer
- 77,5 m² Wohnfläche
- Kaufpreis € 418.320,00

..
Haus 9a
Wohnung 10
STATUS: VERFÜGBAR
- DG links
- Maisonette
- Inkl. 2 Balkone
- 3-4 Zimmer
- 84,4 m² Wohnfläche
- Kaufpreis: € 462.903,00

..
Haus 9a
Wohnung 11
STATUS: VERFÜGBAR
- DG links
- Maisonette
- Inkl. 2 Balkone
- 3-4 Zimmer
- 86,8 m² Wohnfläche
- Kaufpreis: € 471.366,00

..
Lassen Sie sich begeistern!
Vereinbaren Sie noch heute Ihr persönliches Beratungsgespräch.
Ihre Ansprechpartnerin für dieses Objekt ist Frau Margarete Ruof

Ich freue mich auf Sie!
